
obr. 1
Tu bol sonar vonku (obr. 2), nebol vo vode. Ide o to zrnenie alebo ako to nazvať.
obr. 2
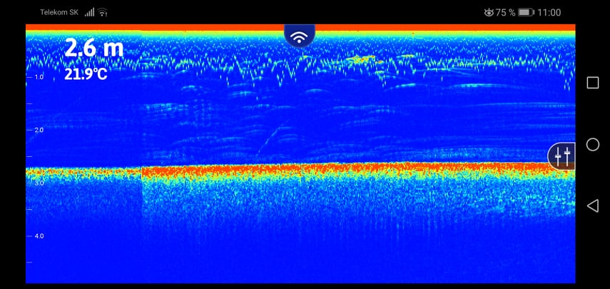
Tu bol sonar vo vode (obr. 3). A proste, je to tak silné, keď to je, že po hode ťažko niekedy rozoznať, či sa jedná o rybu alebo o toto (neviem, čo a prečo to robí). Inokedy mi to nerobievalo.
obr. 3
Riešenie problému:
Pri hladine sa zvyčajne prejavuje rušenie od hladiny vody, keď sú vlny, odrazy od člna, ak je sonar používaný z člna - takto sa môžu prejaviť odrazy od móla, hrádze, ak sa sonar používa pri nejakých podobných stavbách.
Na spodnej fotke (obr. 3) je viditeľné pravidelné vykreslenie - vlnovku, neviem kde bol sonar použitý, ale takto môže byť napr. zobrazená vaša nástraha, ak je pod sonarom a priebežne ju poťahujete hore a dolu.
Viac informácií o sonaroch:
Nahadzovacie sonary Lowrance FishHunter 3D
Nahadzovacie sonary Lowrance FishHunter Pro
Nákupný poradca: Ako vybrať kvalitný rybársky sonar?Aj keď sonar nám ryby nenachytá, ako si niektorí myslia, je nenahraditeľným pomocníkom pri hľadaní lovného miesta, rýb, prípadných prekážok. Ale aby tomu skutočne tak bolo, potrebujete mať sonar, ktorý tieto veci skutočne dokáže. Pri výbere sonaru sa preto sústreďte najmä na tieto 3 hlavné kritériá výberu sonaru na ryby. Kliknite |
|
Chcete investovať do sonaru na ryby alebo by ste radi poznali riešenie svojho problému ohľadom sonarov? V rubrike Rybársky Poradca nájdete okrem iného aj odpovede na najčastejšie otázky rybárov na rybárske sonary. Kliknite |




